Tauchen Teneriffa
Tauchzentrum Los Gigantes

Tauchen auf Teneriffa

Wir sind Teneriffas erstes PADI- und BSAC-Zentrum und bieten seit 35 Jahren ganzjährig erstklassiges Tauchen, Kurse und Schnorchelausflüge, mit höchsten Sicherheitsstandards in der schönsten Ecke Teneriffas.

PADI 5-Star Centre BSAC Registered 35+ Jahre Erfahrung Meeresschutzgebiet
35+
Jahre Erfahrung
20+
Tauchplätze
40m
Max. Tiefe
19-24°C
Wassertemperatur

Am Hafen von Los Gigantes

Wir befinden uns direkt am Hafen von Los Gigantes, an der spektakulären Westküste Teneriffas unterhalb der majestätischen 600 Meter hohen Klippen.

Diese uralten Vulkanwände stürzen dramatisch in den Atlantik hinab, ihre dunklen Fassaden wachen über Gewässer, die Delfine und Grindwale ihr Zuhause nennen. Von unserem 7,5 Meter langen RIB erreichst du die Tauchplätze in nur 3-15 Minuten.

So findest du uns
Boot des Tauchzentrums Los Gigantes

Warum mit uns tauchen

PADI & BSAC zertifiziert

Teneriffas erstes PADI Centre und BSAC-registriert. Unser Chefinstruktor besitzt die Zertifizierungen BSAC 3 Star Instructor und PADI Master Instructor. Brevets aller Ausbildungsverbände werden anerkannt.

Meeresschutzgebiet

Die Küste, an der all unsere Tauchgänge stattfinden, wurde zum Schutzgebiet erklärt. Die Fischerei ist eingeschränkt und das Meeresleben vermehrt sich rasant. Bedrohte Arten, die einst selten waren, werden jetzt regelmäßig gesichtet.

Sicherheit geht vor

Gemäß spanischem Recht ist unser Boot immer mit einem zertifizierten Skipper besetzt, während sich Taucher im Wasser befinden. Ein Instructor oder Divemaster leitet jeden Tauchgang. Sauerstoff und Erste-Hilfe-Set sind stets an Bord.

Komplette Ausrüstung verfügbar

Unser Tauchzentrum verfügt über Aufbewahrungsmöglichkeiten für persönliche Ausrüstung. Wenn du keine eigene Tauchausrüstung hast, kannst du eine komplette Leihausrüstung inklusive GoPro-Kameras mieten.

Viele Tauchplätze zu entdecken

Wir besuchen regelmäßig über 20 verschiedene Tauchplätze mit spektakulärer Vulkanlandschaft, Bögen und Höhlen, genug, um alle Ausbildungsniveaus zu begeistern. Offshore erreichen die Tiefen 2000 Meter, aber wir setzen ein vernünftiges Limit von 40 Metern für unsere Tauchgänge.

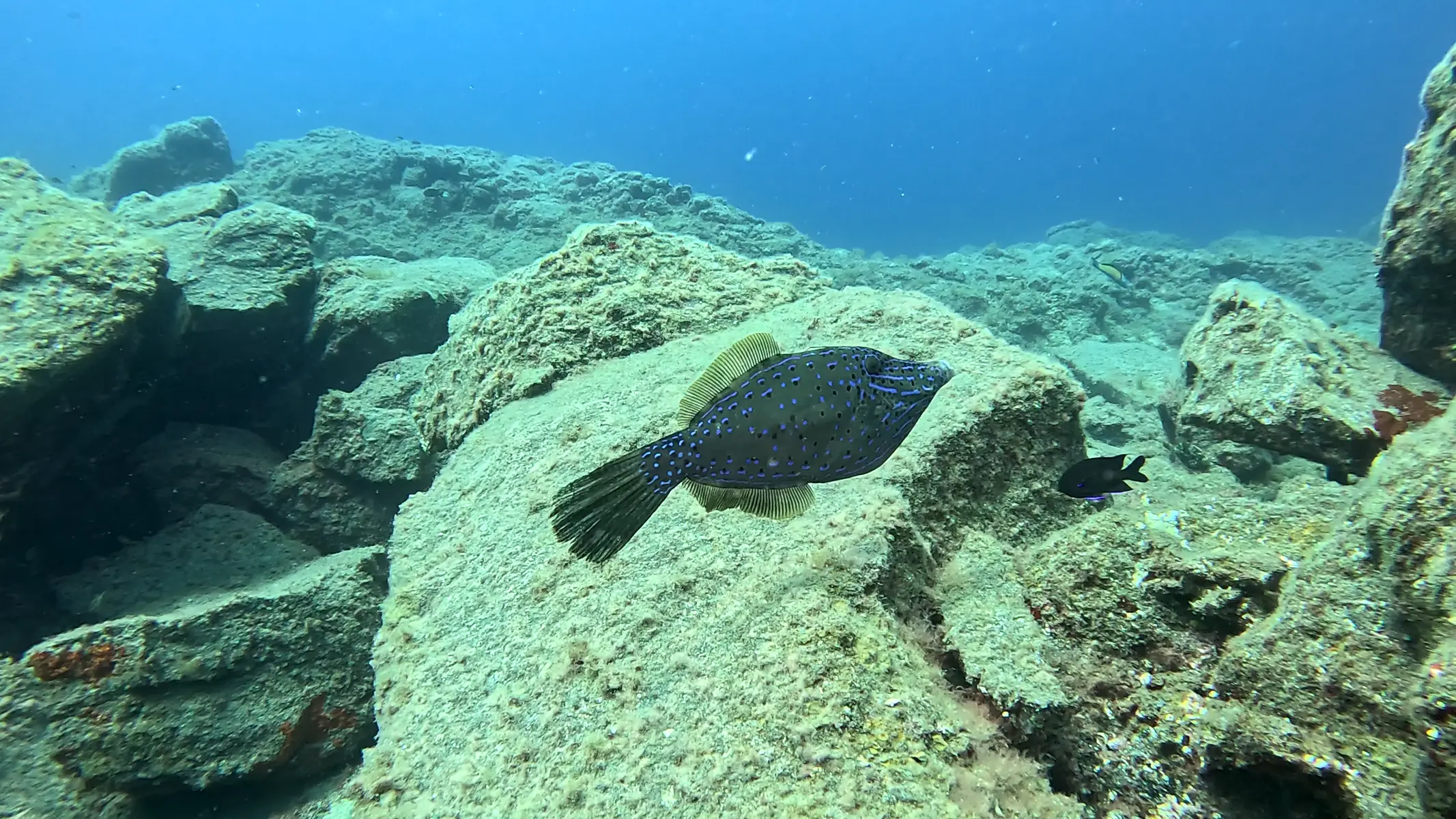
Der subtropische Atlantik beschert uns eine erstaunliche Vielfalt an Meeresleben. Vergiss deine Kamera nicht, oder miete eine unserer GoPros.

Tauchplätze entdecken
Vulkanlandschaft
Bögen, Höhlen und dramatische Formationen
Alle Niveaus willkommen
Tauchplätze für jedes Ausbildungsniveau
Vernünftige Tiefengrenze
Maximal 40 Meter (gesetzlich vorgeschrieben)
Subtropischer Atlantik
Große Vielfalt an Meeresleben

Tauchplan

Tauchgänge starten zweimal täglich (in der Hochsaison manchmal dreimal). Zwischen den Tauchgängen kehren wir immer zum Hafen zurück für eine Kaffeepause und zum Flaschenwechsel.

09:30
Morgentauchgang
12:00
Mittagstauchgang
Hochsaison
14:00 für Schnuppertauchen & Schnorcheln

Finde dein Erlebnis

Schreib uns auf WhatsApp

Nenne uns deine Reisedaten und Brevetstufe und wir planen die besten Tauchgänge für dich.

(+34) 637 819 204
divinglosgigantes@gmail.com
Nachricht senden